Heppoko!海釣り倶楽部
相棒日記的BBS
このサイトの管理人の相棒こと「マサ」の日記的BBSです。

投稿数:7324 [298/733ページ]

【 名前 】
※24バイトまで
【 タイトル 】
※40バイトまで
【 内容 】
※5000バイトまで



[4616] 黒鯛家族 みつさん 2018/05/21 12:23
みつさんも順調に釣られていますね❗️
秋も数が楽しめそうですね☀️

[4615] マサ 行ってしまったシリーズ❗ 2018/05/20 20:52
たまには食べれる魚をと千葉県入りしましたがコサバの猛攻激に撃沈しました‼

朝から午後までコサバだらけでなす素手が無いので撤収です(笑)

猛攻激のコサバ入れ食い、木っ端を釣るのが至難の技です(笑)

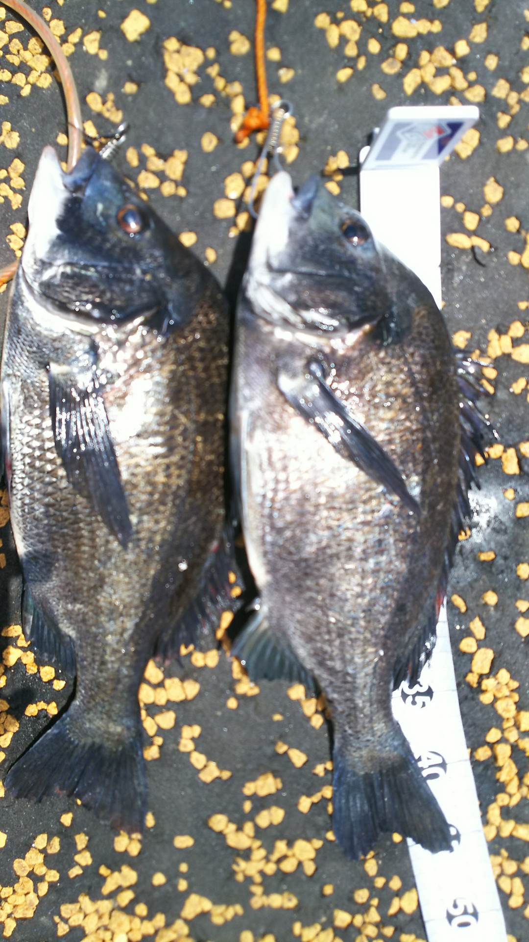
[4613] みつ 黒鯛 2018/05/20 20:33
黒鯛家族さんさすが釣りますね、おめでとうございます、俺も頑張りました、50センチ頭に40、37センチゲットです、今年は爆発ですね。

[4612] 黒鯛家族 no title 2018/05/20 12:24
本日は2匹でした❗️
クロダイ46と45センチ。

[4611] 黒鯛家族 マサさん 2018/05/20 00:34
マサさん5種目おめでとうございます☀️
魚種も増えてきましたね❗️
数も期待大ですね🎵

[4610] マサ 某所下‼ 2018/05/19 22:52
何時もの某所下でアジ狙いましたがアジ1匹でした‼

ヘチでメジナ釣れてましたので狙いましたが釣れませんです(笑)

メバル、フグ、フッコ、アジ、クロダイで五目釣り出来ました🎵

奥方様は4種目釣りました‼勝てませんです(笑)

[4608] 黒鯛家族 マサさん 2018/05/19 17:39
以前は電気ウキが沈むのが好きでした。最近は昼間の釣りが好きです❤️
今日は風が弱くなってから10時頃から始めましたよ❗️
フカセは見易いほうが楽ですね❗️
魚が活性していますので私も活性してますよ🎵

[4607] マサ 黒鯛家族パパさん 2018/05/19 17:09
しまった‼早々と釣りされてましたか‼

暗く成ってから行く予定でしたが‼

クロダイ釣ってますね🎵

アジも釣れるかな(笑)

[4606] 黒鯛家族 高切れ❗️ 2018/05/19 15:31
本日は誘導ウキでクロダイ2匹掛け、1回は高切れでバラシ&ウキ無くし。
クロダイ46センチ1匹でした❗️

[4605] 黒鯛家族 マサさん 2018/05/17 23:31
魚が活性化するとマサさんも活性化ですね🎵
色々な魚の喰いが上がって欲しいですね❗️
前のページへ /  次のページへ / TOPへ戻る

画像アップも出来るようになりました。
詳しくは「画像アップロードについて」をご覧ください。
※画像反映には少々時間が掛かる場合があります。

[ お願い ]
広告や勧誘や宣伝など、あまりにも話題からかけ離れた書き込みはしないでください。
運用者がふさわしくないと思った書き込みは容赦なく削除しますので、そこのところ宜しくです。
あと、日本語理解できない人も書き込みしないでください。

Copyright© Heppoko!海釣り倶楽部 ALL Rights Reserved.
サイト内の文章・画像の無断使用・転載などを禁止します。